- Home
- Land
- Residential Land
- 1802 11 Street SE, Calgary, Alberta, T2G 3E8
1802 11 Street SE, Calgary, Alberta, T2G 3E8
Ramsay, Calgary
- A2278533
- MLS Number
- 1.37
- Lot sqft
Property Description
Directly across from the future Inglewood/Ramsay LRT Station and represents a rare, large-scale, transit-oriented development opportunity within Calgary’s historic and rapidly evolving Ramsay / Inglewood district. Few inner-city sites offer this combination of immediate LRT adjacency, scale, frontage, and proximity to downtown.
The property comprises a single, contiguous parcel of approximately 59,723 square feet, fully serviced, level, and regularly configured, with direct exposure and access along 11 Street SE, an emerging inner-city corridor. The site is ideally suited for high-density multi-residential or mixed-use development consistent with City policy and market demand.
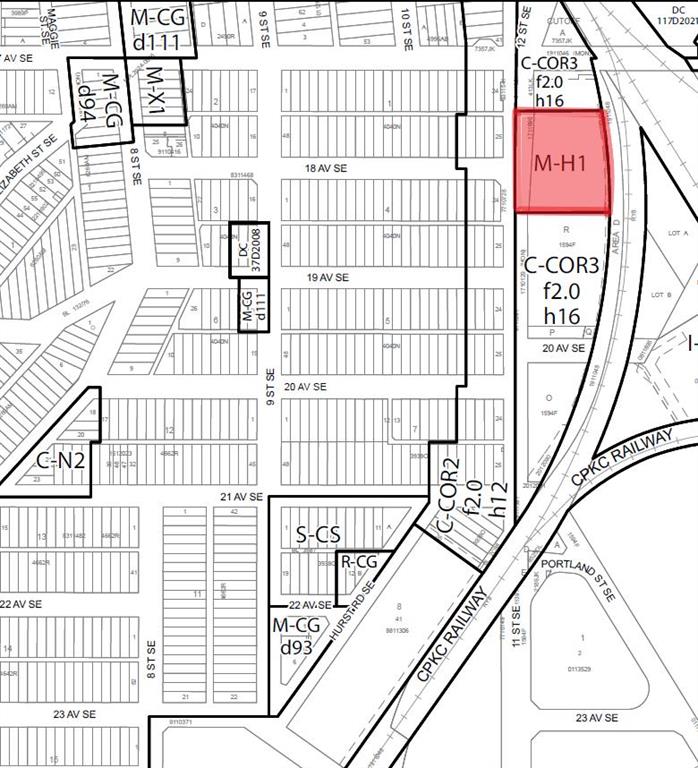
The land is currently designated M-H 1 – Multi-Residential High Density Low Rise, supporting mid-rise development typically in the 4–8 storey range, with the ability to incorporate ground-oriented commercial uses. A previously approved Development Permit has been amended to 168 residential units, and full plans are available for review. Given the site’s front-door LRT access, a new Development Application proposing 200+ units with commercial and structured parking is well supported. The City has also expressed support for a potential rezoning to M-H2, permitting up to 12 storeys and approximately 400 units.
Located within the Historic East Calgary planning area, the site aligns directly with the City of Calgary’s Transit-Oriented Development (TOD) Guidelines, which encourage intensified, high-quality urban form adjacent to rapid transit stations.
Key locational advantages include: Immediate access to the Inglewood/Ramsay LRT Station. Walking distance to Downtown Calgary. Direct access to Inglewood’s retail, dining, and cultural amenities. Proximity to the Bow and Elbow Rivers and pathway networks.
Close to Stampede Park, Fort Calgary, Calgary Zoo, TELUS Spark, Scotsman’s Hill, and East Village .There is also excellent connectivity via Macleod Trail, Blackfoot Trail, Memorial Drive, and 9 Avenue SE. This prime location offers the lifestyle advantages of both quiet neighborhood and inner-city lifestyles.
Video views from the proposed development’s 2nd through 8th floors are available upon request.
Property Details
-
Property Type Residential Land, Land
-
MLS Number A2278533
-
Property Status Active
-
Brokerage name D.C. & Associates Realty
Features & Amenities
Similar Listings
132 44 Avenue NE, Calgary, Alberta, T2E 2N8
- $589,000
- $589,000
- Residential Land, Land
1 hour ago
1 hour ago
1125 8 Street SE, Calgary, Alberta, T2G2G6
- $699,900
- $699,900
- Residential Land, Land
3 hours ago
3 hours ago
229 33 Street NE, Calgary, Alberta, T2A 4Y6
- $3,995
- $3,995
- Industrial Land, Land
1 day ago
1 day ago
5424 37 Street SW, Calgary, Alberta, T3E 5M5
- $400,000
- $400,000
- Residential Land, Land
2 days ago
2 days ago
Are you interested in 1802 11 Street SE, Calgary, Alberta, T2G 3E8?
For over two decades, home buyers and sellers have come to depend on us for our expertise in buying and selling their properties.
LEt's Get Started
Work With Us
With years of experience helping local home Buyers and Sellers just like yourself in Cochrane and Calgary, Alberta, we know how to find the finest real estate properties and help you negotiate the best rates.
This site is protected by reCAPTCHA and the Google Privacy Policy and Terms of Service apply.
